Bekanntmachung
über der Aufstellung des Bebauungsplans Nr. 99/K für das Gebiet „Westlich der Flurstraße“ (§ 2 Abs. 1 Satz 2 Baugesetzbuch)
Der Gemeinderat hat am 04.12.2017 beschlossen, ein Verfahren zur Aufstellung des Bebauungsplans Nr. 99/K „Westlich der Flurstraße“ einzuleiten.
Nachstehend ist der Wortlaut des Aufstellungsbeschlusses vom 04.12.2017 abgedruckt:
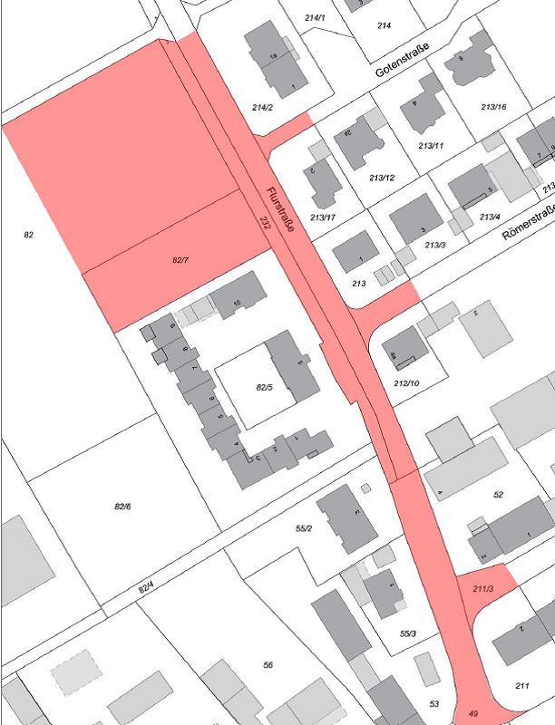
Am 24.04.2017 hat der Ausschuss für Bauen, Infrastruktur und Umwelt einen Grundsatzbeschluss gefasst auf den Flächen Flur-Nr. 82/7 sowie Teilflächen der Flur-Nr. 82, beide Gemarkung Kirchheim b. München, einen Bebauungsplan auf rund 5.200 m² auf zu stellen. Planungsziel ist die Schaffung von Einfamilienhäusern als Ortsabrundung. Die Straße durch Flur Nr. 82 soll als Anliegerstraße ausgeführt werden. Das dieser Beschlussvorlage angehängte Konzept wird im Rahmen des Bebauungsplanverfahrens detailliert ausgearbeitet.
Die Eigentümer haben die Grundzustimmung zur SoBoN mit Kostenübernahme der Planungskosten, anteilig der Grundstücksgrößen, bereits unterzeichnet.
Hinzu kommen nun Teilflächen von Flur-Nr. 49, 211/3, 213/9, 214/3, 232, 233, alle Gemarkung Kirchheim b. München, um die Überplanung der Flurstraße zu ermöglichen. Ziel hierbei ist vor allem die Schaffung von Gehwegen sowie von Parkplätzen. Letztere sind in den dort aktuell gültigen Bebauungsplänen Nr. 20/K und 79/K nicht vorgesehen. Durch den Bebauungsplan Nr. 99/K werden diese in Teilbereichen (alles öffentliche Verkehrsflächen) verdrängt.
1. Der Bebauungsplan Nr. 99/K „Westlich der Flurstraße“ wird nach § 2 Baugesetzbuch i.V.m. § 13b Baugesetzbuch aufgestellt. Auf der Flur-Nr. 82/7 und Teilflächen der Flur-Nr. 82, beide Gemarkung Kirchheim b. München, soll auf ca. 5.200 m² Wohnbebauung realisiert werden. Auf Teilflächen der Flur-Nr. 49, 211/3, 213/9, 214/3, 232, 233, alle Gemarkung Kirchheim b. München, wird die Flurstraße mit Kreuzungsbereichen überplant. Ein Übersichtsplan der Umgriffflächen ist dem Beschluss beigelegt und ist Bestandteil dessen. Teilbereiche der Bebauungspläne Nr. 20/K und Nr. 79/K werden durch diesen Bebauungsplan verdrängt. Die Verwaltung wird beauftragt, die notwendigen Schritte des Bauleitplanverfahrens durchzuführen.
2. Planungsziel ist die Schaffung von Wohnraum in Form von Einfamilienhäusern als Ortsabrundung, sowie die Erneuerung der Flurstraße im Bereich Erdinger Straße bis Ortsende inklusive der Kreuzungsbereiche Kelten-, Römer- und Gotenstraße.
In Kürze wird die frühzeitige Beteiligung der Öffentlichkeit durchgeführt. Der Zeitraum, in dem sich Interessierte über die Ziele und Zwecke der Planung sowie ihre Auswirkungen bei der Gemeinde erkundigen können, wird noch gesondert öffentlich bekannt gemacht.
Ansprechpartner im Bauamt der Gemeindeverwaltung:
Herr Böhmfeld, Tel. 089/90909-3102 oder Herr Locher, Tel. 089/90909-3116
Gemeinde Kirchheim b. München, 13.12.2017
Bauamt – Sachgebiet Bauverwaltung
gez.
Maximilian B ö l t l
Erster Bürgermeister





